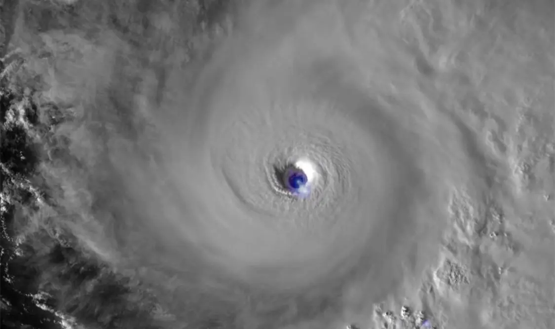
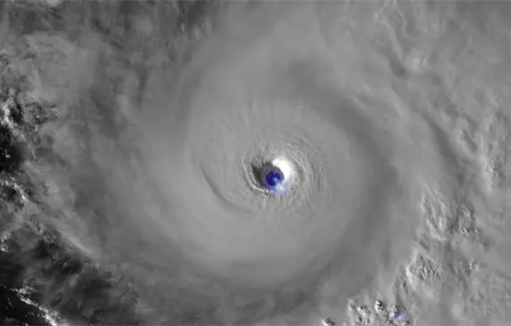
El huracán Melissa (categoría 2) avanza hacia Bermudas, donde se espera que provoque condiciones de huracán durante la noche, tras dejar un rastro de destrucción y víctimas mortales en Haití, Jamaica y Cuba, informó el Centro Nacional de Huracanes (NHC, en inglés) de Estados Unidos.
Melissa seguirá afectando a Haití, Cuba, las Bahamas y las islas Turcas y Caicos, con oleaje peligroso y fuertes corrientes marinas que se extenderán hacia Bermudas a lo largo del día.
El ciclón mantiene vientos máximos sostenidos de 165 kilómetros por hora (105 millas), con rachas más fuertes, y los meteorólogos no prevén cambios significativos en su intensidad durante el día, aunque podría comenzar a debilitarse el viernes.












